
O PREFEITO MUNICIPAL DE MARILÂNDIA, ESTADO DO ESPÍRITO SANTO, faz saber que a Câmara Municipal, aprovou e ele sanciona a seguinte Lei:
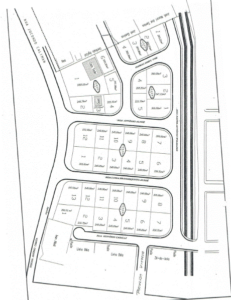
Art. 1º A rua localizada entre as Quadras "A" e "B" do Bairro Vila Real e paralela à Rua Honório Casali, passa a ser chamada de "Rua Luiza Francisqueto Altoé".
Art. 2º A rua localizada entre as Quadras "C" e "D" do Bairro Vila Real, passa a ser chamada de "Rua Lírio Turino".
Art. 3º A rua localizada entre a Quadra "B" e as Quadras "C" e "E" do Bairro Vila Real e paralela à Rua Luiza Francisqueto Altoé, passa a ser chamada de "Rua Antônio Altoé".
Art. 4º A rua que aflue para as ruas citadas nos artigos anteriores, denominar-se-á de "Rua Padre Antônio Volkers".
Art. 5º Esta Lei entra em vigor na data de sua publicação, revogada as disposições em contrário.
Registre-se. Publique-se. Cumpra-se.
Marilândia/ES, 19 de outubro de 2010.
Este texto não substitui o original publicado e arquivado na Câmara Municipal de Marilândia.
