
O PREFEITO MUNICIPAL DE MARILÂNDIA, ESTADO DO ESPÍRITO SANTO, faz saber que a Câmara Municipal, aprovou e eu sanciono a seguinte Lei:
Art. 1º Fica o Chefe cio Poder Executivo Municipal autorizado a doar para o Sindicato dos servidores Público do Município de Marilândia - SISPMM, 01 (um) lote de terra urbana medindo 305,04 m² (trezentos e cinco metros quadrados e quatro centímetros), localizado no loteamento desta prefeitura, entre a Rua Tarcísio Morosini, confrontando-se por seus diversos lados com os lotes, 06, 07, 09 e 10.
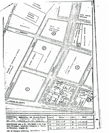
Parágrafo Único. A localização e confrontações fazem parte do croqui em anexo.
Art. 2º A referida doação é válida somente para a construção citada no "caput" do artigo 1º desta Lei, e, no caso de utilização para outro fim, este será revertido para o município de Marilândia/ES.
Parágrafo Único. O donatário deverá proceder à construção citada no artigo 1º no prazo de 05 (cinco) anos, podendo ser prorrogada uma única vez por mais dois anos.
Art. 3º Esta Lei entra em vigor na data de sua publicação, revogando-se disposições em contrário.
Registre-se. Publique-se. Cumpra-se.
Marilândia/ES, 15 de abril de 2008.
Este texto não substitui o original publicado e arquivado na Câmara Municipal de Marilândia.
