
Faço saber que a CÂMARA MUNICIPAL DE MARILÂNDIA, DO ESTADO DO ESPÍRITO SANTO, no uso de suas atribuições legais, aprovou e eu sanciono a seguinte Lei:
Art. 1º O Art. 4º da Lei Municipal nº 478 de 10 de março de 2004, passa a vigorar com a seguinte redação:
Art. 4º A alienação
dar-se-á na forma de Concorrência como prevê a Lei 8.666 de 21/06/1993.
Art. 2º Fica aprovado Laudo de Avaliação dos Bens Imóveis, parte integrante desta.
Art. 3º Os Bens Imóveis a que se refere o artigo anterior encontram-se relacionados nas Leis nº 228, de 20 de junho de 1994 e nº 478, de 10 de março de 2004.
Art. 4º Esta Lei entra em vigor na data de sua publicação, revogando as disposições em contrário.
Registre-se, Publique-se e Cumpra-se.
Gabinete do Prefeito Municipal de Marilândia, 18 de maio de 2004.
Este texto não substitui o original publicado e arquivado na Câmara Municipal de Marilândia.
Nós, membros da Comissão de Avaliação de Bens
Imóveis, nomeados pela Portaria nº 262, de 13 de maio de 2004, cópia anexa,
após vistoriarmos as áreas indicadas no Anexo I da citada Portaria, chegamos a
um denominador comum do valor das mesmas, assim descritos:
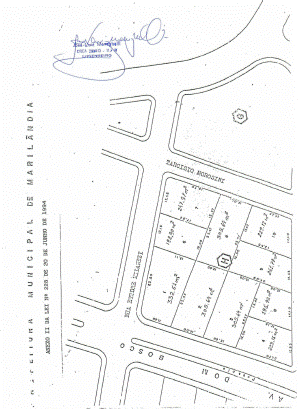
QUADRA H - Loteamento da Prefeitura
Municipal, no prolongamento da Avenida Dom Bosco - Lei nº 228 de 20/06/1994.
- LOTE Nº 008 - Medindo 305,64 m²
confrontando-se com: pela frente de 12,00 m com Rua Tarcísio Morosini, pelo lado direito de 25,47 m com lote nº 07 e 06,
pelo lado esquerdo de 25,47 m com lote nº 10 e 09 e fundos de 12,00 m com lote
nº 02.
VALOR
R$ 20.000,00
QUADRA A - Loteamento da Prefeitura
Municipal, entre as ruas Luiz Catelan, Ângela Savergnini
e Rua "A".
- LOTE Nº 008 - Medindo 300,00 nº,
confrontando-se com: pela frente de 12,00 m com Rua Luiz Catelan, pelo lado
direito de 25,00 m com lote nº 07, pelo lado esquerdo de 25,00 m com lote nº 09
e fundos de 12,00 m com lote nº 19.
VALOR
R$ 30.000,00
- LOTE Nº 009 - Medindo 300,00 m²,
confrontando-se com: pela frente de 12,00 m com Rua Luiz Catelan, pelo lado
direito de 25,00 m com lote nº 08, pelo lado esquerdo de 25,00 m com lote nº 10
e fundos de 12,00 m com lote nº 20.
VALOR
R$ 30.000,00
- LOTE Nº 010 - Medindo 300,00 m²,
confrontando-se com: pela frente de 12,00 m com Rua Luiz Catelan, pelo lado
direito de 25,00 m com lote nº 09, pelo lado esquerdo de 25,00 m com lote nº11
e fundos de 12,00 m com lote nº 21
VALOR
R$ 30.000,00
- LOTE Nº 011 - Medindo 364,64 m²
confrontando-se com: pela frente de 13,37 m com Rua Luiz Catelan, pelo lado
direito de 25,00 m com lote nº 10, pelo lado esquerdo de 23,69 m com Rua
Dionisio Falchetto e fundos de 16,81 m com lote nº
22.
VALOR
R$ 35.000,00
Loteamento da
Prefeitura Municipal, entre a Avenida Dom Bosco e a Rua Ângela Savergnini.
- AREA 01 - Medindo 335,83 m²,
confrontando-se com: pela frente de 18,33 m com Avenida Dom Bosco, pelo lado
direito de 17,33 m com área 02, pelo lado esquerdo de 19,00 m com a Rua Ângela Savergnini e fundos de 18,54 m com Irmãos Magnago.
VALOR
R$ 70.000,00
- AREA 02 - Medindo 336,33 m²,
confrontando-se com: pela frente de 20,50 m com Avenida Dom Bosco, pelo lado
direito de 14,84 m com Lanchonete Delícia, pelo lado esquerdo de 17,33 m com a
área 01 e fundos de 21,57 m com Irmãos Magnago e
Posto Gotardo.
VALOR
R$ 70.000,00


