
Faço saber que a CÂMARA MUNICIPAL DE MARILÂNDIA, DO ESTADO DO ESPÍRITO SANTO, no uso de suas atribuições legais, aprovou e eu sanciono a seguinte Lei:
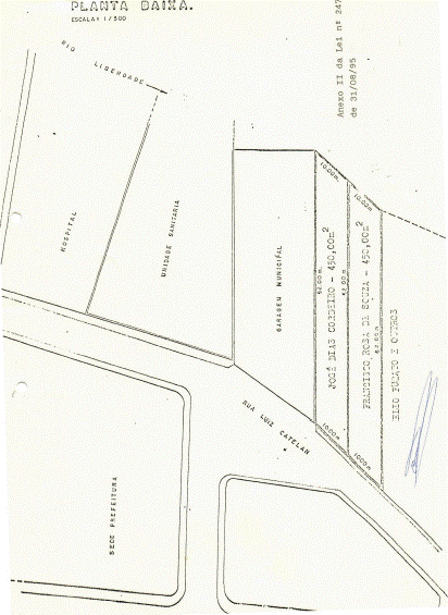
Art. 1º Fica o Chefe do Poder Executivo autoriza do a permutar a posse dos terrenos constantes dos lotes nºs 09 e 10, medindo 261,72m² (duzentos e sessenta e um metros e setenta e dois centímetros quadrados) e 223,12m² (duzentos e vinte e três metros e doze centímetros quadrados), respectivamente, da Quadra H, do loteamento desta Prefeitura, localizado na Rua Dionízio Falcheto, Marilândia-ES, com os lotes de propriedade dos senhores: Francisco Rosa de Souza, medindo 450,00m² (quatrocentos e cinquenta metros quadrados) e Jose Dias Cordeiro, medindo 450,00m² (quatrocentos e cinquenta metros quadrados), respectivamente, situados na rua Luiz Catelan Marilândia-ES.
Parágrafo Único. a localização e as confrontações das áreas constantes no caput deste artigo, estão descritas nas plantas, Anexos I e II, que integram esta Lei.
Art. 20 A presente Lei entra em vigor na data de sua publicação, revogadas as disposições em contrário.
Prefeitura Municipal de Marilândia em, 31 de agosto de 1995.
Este texto não substitui o original publicado e arquivado na Câmara Municipal de Marilândia.

